Hi There! Is this Your First Time?
Did you know if you Register you have access to free search tools including the ability to save listings and property searches? Did you know that you can bypass the search altogether and have listings sent directly to your email address? Check out our how-to page for more info.
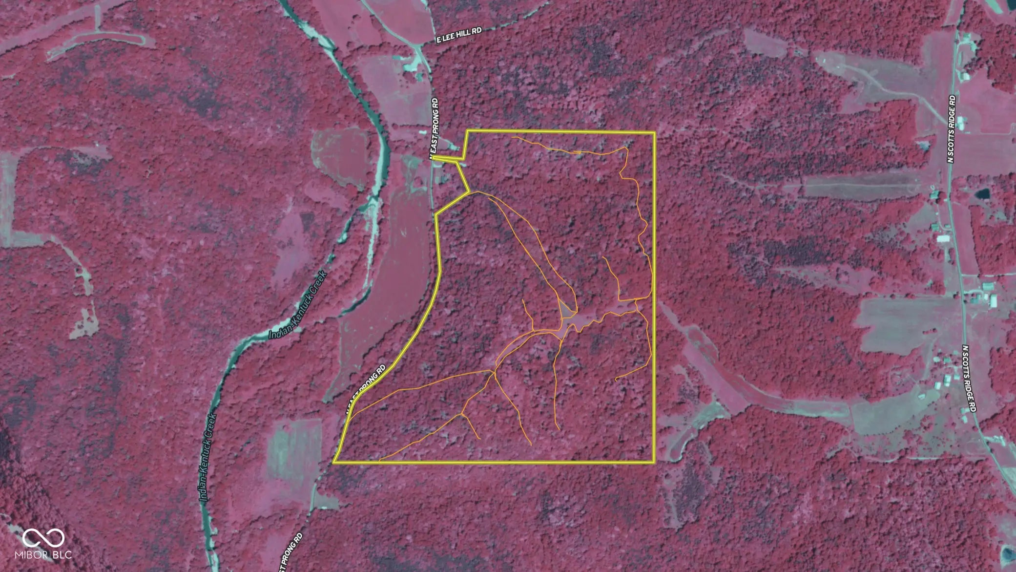
6000 N East Prong Road Madison IN 47250
- -
- Bedrooms
- -
- Baths
- N/A
- SQ. Feet
(Above Ground)
- 117.71
- Acres
Finding a well-manicured recreational property is rare, but this is truly an ideal setup for serious whitetail hunting. Recently revitalized with hundreds of hours of labor and planning, this beautifully maintained hunting and outdoor paradise is ready for immediate use. Located in a highly desirable area, the property features over two miles of freshly cut and well-maintained trails, approximately half a mile of road frontage, and a newly constructed gravel entrance that leads directly to a spacious 60' x 40' pole barn-perfect for storing equipment, ATVs, and gear. Directly behind the barn sits a lush clover food plot with a well-placed deer blind, offering an ideal setup for youth hunters or those seeking minimal travel from the entrance. Further up the property, a larger, T-shaped field has been planted in corn and soybeans, complete with a central watering hole and trails extending in multiple directions for strategic access. A second clover plot lies just downhill, also connected to a network of trails-one of which runs all the way to the southern road frontage, offering easy entry from both the north and south ends. The land features a diverse blend of rolling topography and timber, including a mature stand affectionately known as "The Oak Grove," which has remained untouched by timber harvests. Wildlife is abundant, and the habitat is ideal for deer, turkey, and small game. All trails are wide enough to accommodate large side-by-sides and ATVs, making it perfect for hunters and hikers, nature lovers, off-road enthusiasts, and mountain bikers. Located near Madison, Vevay, and Versailles, the property is within easy reach of restaurants, lodging, and amenities. It also lies close to several outdoor destinations, including Versailles State Park, Clifty Falls, Splinter Ridge FWA, and Big Oaks National Wildlife Refuge. This one is ready to enjoy-no prep required.
Property Details
Interior Features
Exterior Features
- Setting / Lot Description: Wooded
- # Acres: 117.71
- Sewer: Septic Needed
Listing Office: Whitetail Properties
All information is provided exclusively for consumers' personal, non-commercial use, and may not be used for any purpose other than to identify prospective properties that a consumer may be interested in purchasing. All Information believed to be reliable but not guaranteed and should be independently verified. © 2025 MIBOR Broker Listing Cooperative®. All rights reserved.
Listing information last updated on December 31st, 2025 at 3:10am EST.

