Hi There! Is this Your First Time?
Did you know if you Register you have access to free search tools including the ability to save listings and property searches? Did you know that you can bypass the search altogether and have listings sent directly to your email address? Check out our how-to page for more info.
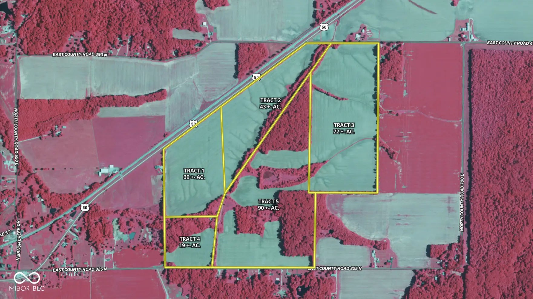
6180 E County Road 325 Tract 3 N Butlerville IN 47223
- -
- Bedrooms
- -
- Baths
- N/A
- SQ. Feet
(Above Ground)
- 72
- Acres
This is Tract 3 of 5 proposed tracts from a parent parcel of 263.422 acres. Tract 3 is proposed to be approximately 72 acres +- with approx. 800 ft. of County Road 400 N road frontage. This versatile property offers an extensive range of possibilities, including agricultural, commercial, residential, and recreational uses. This tract is nearly all tillable with no floodplain. Utilities, including water, electricity, and fiber optic internet, are available at the road. The area is known for great deer hunting but this tract in particular often has ducks and geese feeding in the fields, especially after harvest. The soils are mostly a mix of Cobbsfork silt loam, Avonburg silt loam, Holton silt loam, and Nabb silt loam. Located in Butlerville, a small town between North Vernon and Versailles, the property is within an hour's drive of cities like Columbus, Seymour, Greensburg, Madison, Scottsburg, and Vevay. It is surrounded by numerous parks and wildlife areas, including the 50,000-acre Big Oaks National Wildlife Refuge. Directly north and less than 1 mile away is Brush Creek Reservoir where visitors can fish or hike. To the east lies Versailles State Park, while to the west is Crosley FWA, Selmier State Forest, and Muscatatuck National Wildlife Refuge. A new ALTA survey was completed in 2024 which could be very useful for future developers and investors. There are no leases for the 2025 crops. Seller is flexible and welcomes creative offers. Local comps on tillable acreage range up to $19k/ ac.
Property Details
Interior Features
Exterior Features
- Setting / Lot Description: Rural - Not Subdivision
- # Acres: 72.00
- Sewer: Septic Needed
Listing Office: Whitetail Properties
Office Contact: Brad.garrison@whitetailproperties.com
Similar Properties To: 6180 E County Road 325 Tract 3 N, Butlerville
No Subdivision
- MLS® #:
- 22022864
- Provider:
- Whitetail Properties
View all similar properties here
All information is provided exclusively for consumers' personal, non-commercial use, and may not be used for any purpose other than to identify prospective properties that a consumer may be interested in purchasing. All Information believed to be reliable but not guaranteed and should be independently verified. © 2025 MIBOR Broker Listing Cooperative®. All rights reserved.
Listing information last updated on December 30th, 2025 at 10:55pm EST.


